概述
斑是色素性皮肤病的统称,可表现为皮肤出现异常的白色、黄褐色及蓝紫色的斑块样症状。
色素性皮肤病可分为白癜风、黄褐斑、雀斑、太田痣等几种疾病。
症状
色素性皮肤病可分为白癜风、黄褐斑、雀斑、太田痣等类型,不同类型具体症状表现各异。
白癜风
为后天发生,无性别差异,任何年龄均可发病,以儿童及青壮年多见。皮损大小不等,圆形、椭圆形、不规则形或线状,典型皮损为乳白色或瓷白色色素脱失斑,边界清楚,无萎缩、硬化及肥厚等改变。常无自觉症状,进展期可有瘙痒,任何部位均可受累。

黄褐斑
好发于中青年女性,男性也可患病。皮损常对称分布于颜面颧部及颊部而呈蝴蝶形,亦可累及前额、鼻、口周。皮损为大小不一、边缘清楚的黄褐色或褐色斑片,日晒后色素加深;常在春夏季加重,秋冬季减轻。患者无自觉症状,病程不定,可持续数个月或数年。

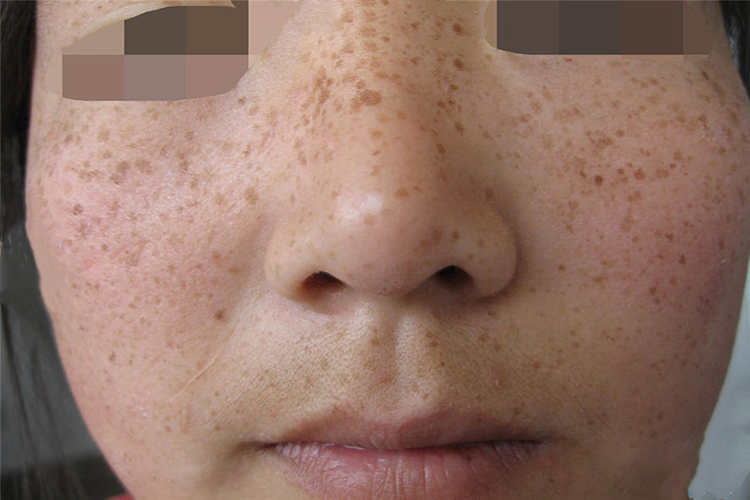
雀斑
女性发病率高,好发于面部,以鼻部及面颊为著,典型皮损为淡褐色至褐色针尖至米粒大小斑点,圆形、卵圆形或略呈不规则形,散在分布,互不融合,数目多少不一。受紫外线照射影响,常春夏季加重,秋冬季减轻。黏膜部位不受累及,患者通常无自觉症状。

太田痣
约50%在出生时即发病,另一发病高峰在青春期。多数单侧发病,少数呈双侧发病。损害发于一侧面部,特别是三叉神经第一、二支分布区域,表现为眼周、颞部、颧部、前额及鼻部的蓝灰色、灰褐色斑点或斑片,边界不清,呈网状或弥漫性。损害颜色随年龄增长而加深、扩大。同侧巩膜色素斑常见,偶见鼻、口腔和颅内色素斑。本病持久存在,无自愈倾向,极少发生恶变。

除上述类型的斑外,还常见咖啡斑、老年斑等,需要由专业医生进行诊断。
病因
导致白癜风、黄褐斑、雀斑、太田痣这几种疾病的病因各异,具体如下。
白癜风
病因尚不完全清楚,本病发生是在遗传背景下,由多种内外因素促发,出现自身免疫、氧化应激、黑素细胞自毁及神经精神等多方面功能障碍,导致酪氨酸酶系统抑制和黑素细胞破坏,最终使患处色素脱失。
黄褐斑
可能与紫外线照射、化妆品、妊娠、内分泌紊乱、种族及遗传等因素有关。妊娠期雌、孕激素作用使色素生成增加,又称妊娠斑。黑素代谢障碍、表皮通透屏障功能受损、炎症反应、血流淤积是本病发生的主要机制。
雀斑
是一种常见于面部的褐色点状色素斑,家族聚集的患者可能与常染色体显性遗传有关。
太田痣
可能与遗传有关,属于常染色体显性遗传,也可能是一种与蓝痣类似的错构瘤或痣样损害,部分患者的真皮黑素细胞中存在雌激素、孕激素、雄激素受体,与青春期太田痣的发生和加重有关。
治疗
白癜风
患者可通过复方醋酸地塞米松乳膏、地奈德乳膏、他克莫司软膏、卡泊三醇软膏等药物进行治疗,症状严重者,可通过光疗、皮肤移植等方法以达到复色目的。
黄褐斑
患者需要避免日光直射,尽量进行物理防晒,避免斑块加重,可通过氢醌乳膏、复方熊果苷乳膏、维生素C等药物治疗,上述药物通过干扰黑色素的生成及代谢,从而达到祛斑效果,还可通过激光治疗黄褐斑。
雀斑
出门需做好防晒,可通过激光等方式祛除色斑,但治疗结束后需注意避光。
太田痣
严重影响患者容貌及心理健康,应积极给予治疗。本病常用的治疗方法包括Q开关波长为694mm的红宝石激光、波长755nm的翠绿宝石激光,可达到一定的美容治疗效果。
参考文献
[1]张学军,郑捷.皮肤性病学.第9版[M].北京.人民卫生出版社.2018.176-181.
