秃发性毛囊炎症状图片

本文由有来医生原创,经专业医师审核校对
所有图片质量和准确性经专业医生严格审查

秃发性毛囊炎是一种破坏性、留有永久性秃发的毛囊炎。本病常发生于青壮年,多由化脓性金黄色葡萄球菌感染引起,还可能与患者对金黄色葡萄球菌及其代谢产物的过敏有关。可尝试注意局部皮肤清洁、药物等方法进行治疗。

秃发性毛囊炎症状图片

秃发性毛囊炎相关知识

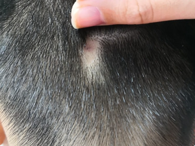
秃发性毛囊炎开始时为毛囊口周的小红斑,很快成为浅表隆起的实质性小疹子,最后小疹子发展为小脓疱,愈合后留有圆形、椭圆形瘢痕,而瘢痕附近的毛囊逐渐又受到损害,发生散在、大小不等的红斑、脓疱。由于炎症的发生,使局部皮肤组织发生病变,毛囊、皮脂腺受到侵犯而发生萎缩、破坏,最后发生瘢痕性秃发。严重者皮肤损害不断地向四周扩大,更大范围地破坏头皮、毛囊,使秃发区连成大片。患者一般有局部瘙痒,有的可无任何感觉。
秃发性毛囊炎多为凝固酶阳性金黄色葡萄球菌感染引起,偶可为表皮葡萄球菌、链球菌、假单胞菌属、大肠埃希菌等单独或混合感染,也可由真菌性毛囊炎(如糠秕马拉色菌)继发细菌感染所致。高温、多汗、搔抓、卫生习惯不良、全身性慢性疾病、器官移植、长期应用糖皮质激素等为常见诱发因素。
秃发性毛囊炎患者首先要保持局部皮肤清洁,预防和治疗皮肤损伤,及时有效诊治皮脂溢出或脂溢性皮炎,避免因瘙痒反复搔抓而使表皮受到破坏,致使化脓菌易于侵入。其次要积极治疗代谢失调、营养不良及慢性传染病等疾病(如糖尿病、结核病患者容易发生化脓性球菌感染而致毛囊炎),还要纠正免疫缺陷等有关致病因素。
治疗应根据病损的范围而定,对局限性的毛囊炎可遵医嘱使用抗生素合并皮质类固醇激素软膏;若损害广泛,则需要全身使用抗生素;对于极严重的患者,可以抗生素和皮质类激素联合应用。

参考文献

[1]张君坦,郑霄阳,林忠豪主编.头发养护与脱发防治180问[M].郑州:河南科学技术出版社,2017.01.144-145.

[2]张学军,郑捷.皮肤性病学.第9版[M].北京.人民卫生出版社.2018.77-78.

相关科普